3 BR/2 BA Home on 72.5 +/- Acres (60+ Acres is Timber) in Lunenburg County, VA--Sells to the Highest Bidder!!
From the Estate of Martin Spence (Sheriff Arthur Townsend, Jr.--Administrator): Move-in ready 3 BR/2 BA home on 72.58 +/- acres
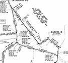
3 parcels: 61.48 +/- acres, 6.10 +/- acres & 5 +/- acres w/home. Parcels will be offered individually and as a whole
61+ acres of this property is timber land
This property will be SOLD to the Highest Bidder!!
- Fri, Jul 19 @ 11:00AM EDT
- Add to Calendar
Address
- 1337 Salem Rd. (Highway 643), South Hill, VA 23970, US
Map

Description
From the Estate of Martin Spence (Sheriff Arthur Townsend, Jr.--Administrator): We have been contracted to market and sell this great property with a move-in ready home and over 61 + acres of timber to the Highest Bidder!!
Property Tours: Saturday, June 15 from 12 Noon-1:00pm; Sunday, June 30 from 12 Noon-1:00pm; Wednesday, July 10 from 12 Noon-1:00pm. Please contact Sid Smyth for more information (434-955-0708).
- Very clean 3 BR/2 BA 1,356 +/- sf. home on 72.58 +/- acres
- Single level living featuring an eat-in kitchen (all appliances convey); living room; front porch; attic
- Central AC; gas forced air heat
- Well & septic system; electric water heater
- Home sits on 5 mostly cleared acres
- 3 parcels: 61.48 +/- acres, 6.10 +/- acres & 5 +/- acres w/home will be offered individually and as a whole. The county planner has approved and signed the plat representing these 3 parcel divisions.
- Tax Map: 078-0A-0-3; Deed Book: 235/857; Zoning: A1; Yearly County real estate taxes: $846.26; home was built in 2004 & is vinyl exterior; WE GUARANTEE A FREE & CLEAR DEED
- Only $75,000 Suggested Starting Bid!!
Although not required, if you have been working with a Realtor, please have them click here and complete the Realtor Representation form. In order for the real estate agent to be compensated, forms must be completed and submitted no later than 5 pm on 7/18/19, and all terms adhered to.
TERMS: $7,500 (home & 5 acres), $5,000 (61 acre parcel), $2,500 (6 acre parcel), or $10,000 (in its entirety) deposit is due immediately after confirmation of final bid and the balance due at closing within 30-45 days (unless prior written arrangements have been made by contacting Sid Smyth 434-955-0708 or sid@longandfoster.com). Deposit must be in the form of a cashier's check/certified check (from a US bank) made payable to yourself. A 10% buyer's premium will be added to the final bid, and will become a part of the purchase price. Property sold in as-is condition, and is not contingent upon buyer's financing, condition of property, appraisal, inspection, etc. Pre-approved (no later than 5 pm on 7/18/19) broker participation is compensated. Auctioneer's Note: All information and dimensions were derived from sources believed to be correct, but are not guaranteed. Buyers shall rely on their own information, judgment, and inspection of the property. All auction day announcements take precedence over any previously printed material or any other oral statements made.
We are happy to offer online/simulcast bidding for bidders who cannot physically attend the live auction event. Please understand and agree that online bidding will only be allowed if the buyer is physically NOT on site at the live auction. Online bidding will NOT be allowed if you are physically in attendance at the live auction event.
ADDITIONAL TERMS for THOSE PLANNING TO BID LIVE ONLINE
In addition to the above terms and conditions, Please read below if you are participating and registered for LIVE ONLINE SIMULCAST BIDDING- Contact the auction coordinator (his or her name and contact number is on the NichollsAuction.com site under the auction you are bidding on) immediately if you need additional information.
- Bidder Verification: The identity of all bidders will be and must be verified (via phone, email or text). Bidding rights are provisional, and if complete verification is not possible, Nicholls Auction Marketing Group, Inc. will reject the registration, and bidding activity will be terminated.
- At the close of the auction, and seller confirmation, the successful bidder will be emailed or given the contract package to execute and return to Nicholls Auction Marketing Group, Inc. The successful bidder’s earnest money deposit must be in the form of cashier’s or certified check (United States Bank) or wire transfer to Nicholls Auction Marketing Group, Inc. The entirety of the remaining balance is due at closing. Purchaser shall be responsible for all wire transfer fees.
- Contract Packages will be sent by e-mail or hand delivered to the high bidder, who must execute and hand deliver, email, fax or overnight mail back to Nicholls Auction Marketing Group, Inc., within 24 hours of receipt. If the successful bidder does not execute and return their contract with earnest money deposit within 24 hours of receipt they will be considered in default and subject to legal action. This is a legal binding contract.
- In the event a winning bidder fails to submit the signed ’Contract for Sale of Real Property’ and deposit earnest money as provided in the pre-stipulated Auction Terms, the winning bidder will be charged an administrative fee of $10,000.00 on the credit card provided at auction registration. Additional default remedies are reserved by Nicholls Auction Marketing Group, Inc., and the Seller as provided in the Auction Terms & Conditions and the ‘Contract of Purchase’. All administrative fees are non refundable.
- Any reliance on the contents shall be solely at the recipient’s risk. Bidders must conduct and rely solely upon their own investigations and inspections. The property is being sold ’AS IS’ with any and all faults. Please review all information supplied, and seek appropriate assistance prior to bidding.
- Technical Issues: Neither the company providing the software nor the auction company shall be held responsible for a missed bid or the failure of the software to function properly for any reason. In the unfortunate event of a DDOS attack or server attack/shut down, the auction company reserves the right, but is not required, to extend bidding time. To minimize the chance of being affected by internet or software issues, please use the “Max Bid” feature. Please contact Tim Peters/Bid Wrangler @ 844-296-8727 if you need assistance with the online bidding platform.
Terms and Conditions
TERMS: $7,500 (home & 5 acres), $5,000 (61 acre parcel), $2,500 (6 acre parcel), or $10,000 (in its entirety) deposit is due immediately after confirmation of final bid and the balance due at closing within 30-45 days (unless prior written arrangements have been made by contacting Sid Smyth 434-955-0708 or sid@longandfoster.com). Deposit must be in the form of a cashier's check or certified check (from a US bank) made payable to yourself. A 10% buyer's premium will be added to the final bid, and will become a part of the purchase price. Property sold in as-is condition, and is not contingent upon buyer's financing, condition of property, appraisal, inspection, etc. Pre-approved (no later than 5 pm on 7/18/19) broker participation is compensated. Auctioneer's Note: All information and dimensions were derived from sources believed to be correct, but are not guaranteed. Buyers shall rely on their own information, judgment, and inspection of the property. All auction day announcements take precedence over any previously printed material or any other oral statements made.
We are happy to offer online/simulcast bidding for bidders who cannot physically attend the live auction event. Please understand and agree that online bidding will only be allowed if the buyer is physically NOT on site at the live auction. Online bidding will NOT be allowed if you are physically in attendance at the live auction event.
ADDITIONAL TERMS for THOSE PLANNING TO BID LIVE ONLINE
In addition to the above terms and conditions, Please read below if you are participating and registered for LIVE ONLINE SIMULCAST BIDDNG- Contact the auction coordinator (his or her name and contact number is on the NichollsAuction.com site under the auction you are bidding on) immediately if you need additional information.
- Bidder Verification: The identity of all bidders will be and must be verified (via phone, email or text). Bidding rights are provisional, and if complete verification is not possible, Nicholls Auction Marketing Group, Inc. will reject the registration, and bidding activity will be terminated.
- At the close of the auction, and seller confirmation, the successful bidder will be emailed or given the contract package to execute and return to Nicholls Auction Marketing Group, Inc. The successful bidder’s earnest money deposit must be in the form of cashier’s or certified check (United States Bank) or wire transfer to Nicholls Auction Marketing Group, Inc. The entirety of the remaining balance is due at closing. Purchaser shall be responsible for all wire transfer fees.
- Contract Packages will be sent by e-mail or hand delivered to the high bidder, who must execute and hand deliver, email, fax or overnight mail back to Nicholls Auction Marketing Group, Inc., within 24 hours of receipt. If the successful bidder does not execute and return their contract with earnest money deposit within 24 hours of receipt they will be considered in default and subject to legal action. This is a legal binding contract.
- In the event a winning bidder fails to submit the signed ’Contract for Sale of Real Property’ and deposit earnest money as provided in the pre-stipulated Auction Terms, the winning bidder will be charged an administrative fee of $10,000.00 on the credit card provided at auction registration. Additional default remedies are reserved by Nicholls Auction Marketing Group, Inc., and the Seller as provided in the Auction Terms & Conditions and the ‘Contract of Purchase’. All administrative fees are non refundable.
- Any reliance on the contents shall be solely at the recipient’s risk. Bidders must conduct and rely solely upon their own investigations and inspections. The property is being sold ’AS IS’ with any and all faults. Please review all information supplied, and seek appropriate assistance prior to bidding.
- Technical Issues: Neither the company providing the software nor the auction company shall be held responsible for a missed bid or the failure of the software to function properly for any reason. In the unfortunate event of a DDOS attack or server attack/shut down, the auction company reserves the right, but is not required, to extend bidding time. To minimize the chance of being affected by internet or software issues, please use the “Max Bid” feature. Please contact Tim Peters/Bid Wrangler @ 844-296-8727 if you need assistance with the online bidding platform.





